

指宿市役所前の区画整理地のご案内ですヾ(๑╹ꇴ◠๑)ノ”
いま指宿で特に人気のある新興住宅地になります✧︎*。
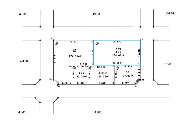
本土地の敷地面積は70.99坪⭐︎
お家を建てるにはちょうど良い面積です(*˘︶˘*).。.:*♡
また〝セミ〟二方道路の角地となり、一方〔北東側〕は自転車歩行者専用道路になります(◍˃̶ᗜ˂̶◍)ノ”
本36区画近くには大きな公園(近隣1号公園)や自転車歩行者専用道路もできる予定ですよ(*˙꒳˙*)‧⁺✧︎*
同じ区画内には揚げピザ屋さんの散歩道さんがございます( ˊᵕˋ )メニューも豊富で選び難し!
10時と15時のおやつは現地調達ですよ(╭︎☞︎> ⍛︎ <)╭︎☞︎
小学校や市役所、美容室に、お買い物施設や病院等が徒歩圏内♬
年を重ねてからなおさらその立地の良さに満足されるのではと思います✧︎*。
過去に掲載させていただいた十町区画整理地は早い段階で売れてきました*ˊᵕˋ)੭
もちろん言わずもがな、早い者勝ちでございます(。v_v。)
お気軽にお問い合わせくださいませヾ(๑ㆁᗜㆁ๑)ノ”
| 価格 | 550万円 | 物件種別 | 売地 | 坪単価 | 7.7万円 |
|---|
| 所在地 | 指宿市十町土地区画整理地36街区2号画地 |
|---|---|
| 交通 | JR指宿枕崎線 二月田駅まで徒歩約15分(約1100m) |
| 駐車場 | 取引態様 | 仲介 | |
|---|---|---|---|
| 引渡/入居時期 | 現況 | ||
| 地目 | 田 | 用途地域 | 第1種中高層住居専用地域 |
| 都市計画 | 非線引き区域 | 地勢 | |
| 土地面積 | 234.69㎡(71.0坪) | 土地面積計測方式 | 公簿 |
| 建ぺい率 | 60% | 容積率 | 200% |
| 土地権利 | 所有権 | 接道状況 | |
| 接道方向1 | 接道間口1 | ||
| 接道種別1 | 接道幅員1 | ||
| 位置指定道路1 | |||
| 接道方向2 | 接道間口2 | ||
| 接道種別2 | 接道幅員2 | ||
| 位置指定道路2 | |||
| 国土法届出 | 不要 | ||
| 周辺環境 | 指宿市役所まで徒歩約7分(約500m) ひばりこども園さんまで徒歩約6分(約450m) 柳田小学校まで徒歩約10分(約700m) 南指宿中学校まで徒歩約24分(約1700m) プラッセだいわさんまで徒歩約13分(約950m) ドラッグストアモリさんまで徒歩約2分(約170m) ドラッグストアコスモス指宿市役所前店さんまで徒歩約3分(約180m) 散歩道Pizza Frittaさんまで徒歩約1分(約4m) セブンイレブン指宿市役所前店さんまで徒歩約3分(約180m) SUMOMO BAKERY指宿店さんまで徒歩約3分(約210m) ケーキハウスアンデルセンさんまで徒歩約4分(約270m) |
||
| 設備・条件 | 上下水道/プロパンガス ■当物件地目は田のため、宅地として利用する際には農地転用許可が必要です。 ■本土地の地積は、土地区画整理法第103条第4項に基づき換地処分公告の翌日に確定します。 ■徒歩の速度は、80m/分として算出しております。 |
||
| 自社物 | 状態 | ||
